Antalya’nın doğası ve tarihiyle öne çıkan noktalarından biri olan Kemer ilçesi Beycik Mahallesi’nde, mülkiyet sınırları içerisinde bulunan tarihi değerlerin korunmasına yönelik yeni bir adım atıldı.
Antalya Kültür Varlıklarını Koruma Bölge Kurulu, bölgedeki tescilli bir lahitin çevresel güvenliğini ve yasal statüsünü güçlendirmek amacıyla koruma alanı sınırlarında yeni güncellemeye gitti.

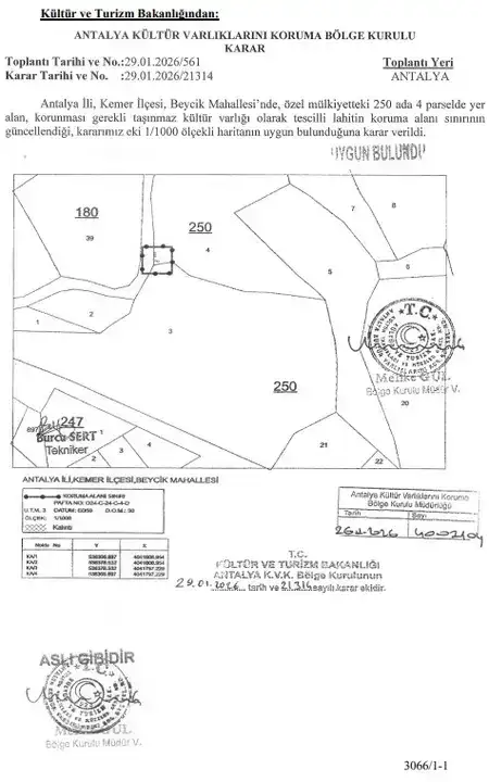
Lahite Koruma Alanı
27 Mart 2026 tarihli Resmi Gazete’de yayımlanan bu karara göre; Beycik Mahallesi 250 ada 4 parselde yer alan ve daha önce korunması gerekli taşınmaz kültür varlığı olarak tescil edilen lahitin koruma alanının sınırı güncellendi.
Bölge Kurulu’nun 21314 sayılı kararına eklenen 1/1000 ölçekli yeni harita, lahitin bulunduğu noktanın koordinatlarını ve çevresindeki koruma bölgesini gösteriyor.

Antalya’da Halk Et TIR’ı İlçe İlçe Geziyor! Vatandaş Yoğun İlgi Gösteriyor
Antalya'da 27 Mart Nöbetçi Eczane Listesi Duyuruldu
Antalyalılar Dikkat 3 Günlük Elektrik Kesintisi! 26-27-28 Mart Elektrik Kesintisi Yaşanacak