Antalya'nın Kemer ilçesi Tekirova Mahallesi'nde bulunan tarihi cami hakkında yeni koruma kararı alındı. Cami, Tekirova Mezarlığı'nın girişinde bulunuyor.
Caminin Koruma Alanı Güncellendi
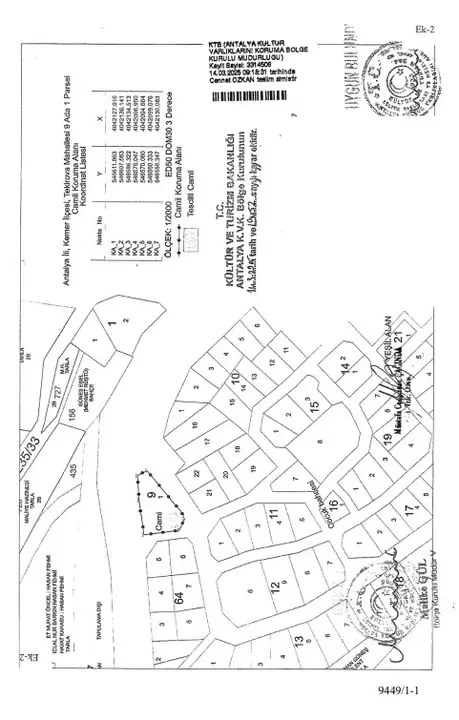
Antalya Büyükşehir Belediyesi mülkiyetindeki, 9 ada 1 parselde yer alan caminin koruma alanı sınırı, Kültür ve Turizm Bakanlığı'na bağlı Antalya Kültür ve Tabiat Varlıklarını Koruma Bölge Kurulu tarafından güncellendi.
Tekirova'daki camii, kurulun 28 Haziran 2008 tarih ve 2489 sayılı kararıyla 1. Grup Kültür Varlığı olarak tescil edilmişti. Antalya Kültür Varlıklarını Koruma Bölge Kurulu Müdürlüğü’nün, 13 Mart 2025 tarih ve 3314506 sayılı uzman raporu ve Kurul Müdürlüğü uzmanlarının yerinde incelemesi sonucunda bu kararın alındığı belirtildi.

İzinsiz İnşaat ve Tadilat Yapılamayacak
Resmi Gazete'nin 7 Eylül 2025 tarihli sayısında yayımlanan karara göre; 1. Grup Kültür Varlığı olarak tescilli camiye ait koruna sınırı, yapılacak her türlü uygulamaların hassas ve doğru olarak yürütülebilmesi amacıyla sayısallaştırılarak güncellendi. Bu alan içerisinde, 2863 sayılı Kanunun 8. maddesi gereği kuruldan izinsiz herhangi bir inşai ve fiziki uygulama yapılamayacak.
Ayrıca koruma alanında tamamen ya da kısmen kalan taşınmazlar, Kadastro Müdürlüğü tarafından Kurul Müdürlüğü'ne bildirildikten sonra, tapu kayıtlarına şerh konulacak.


Antalya’da Esnafa Müjde! Tekirova Kapalı Pazaryeri Kapılarını Açtı