Burdur’un yerel tarihini ve kültürel dokusunu yansıtan önemli yapılardan biri olan Kayaaltı Köyü'ndeki okul binası koruma altına alındı.

Resmi Gazete’nin 11 Nisan 2026 tarihli sayısında yayımlanan karara göre Antalya Kültür Varlıklarını Koruma Bölge Kurulu, mülkiyeti Kayaaltı köy tüzel kişiliğine ait olan ve 201 ada 1 parselde yer alan okul binasını, sahip olduğu mimari ve tarihi değerler nedeniyle tescil etti.

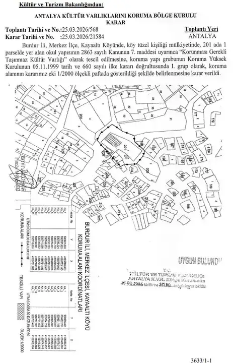
Tarihi Okul Binasının Koruma Statüsü Belirlendi
25 Mart 2026 tarihli ve 21584 sayılı toplantısında alınan kararın detaylarına göre, Kayaaltı Köyü’ndeki okul yapısı 2863 sayılı Kanun’un 7. maddesi uyarınca "Korunması Gerekli Taşınmaz Kültür Varlığı" olarak ilan edildi.
Kurul, yapının korunma grubunu, Koruma Yüksek Kurulu’nun 05.11.1999 tarihli ve 660 sayılı ilke kararı doğrultusunda "1. grup" olarak belirledi. Bu statü, yapının özgün haliyle korunması gerektiğini ve üzerinde yapılacak her türlü müdahalenin kurul onayına tabi olduğunu gösteriyor. Karar ekinde paylaşılan 1/2000 ölçekli paftada, yapının çevresindeki koruma alanının sınırları da net bir şekilde çizilerek kayıt altına alındı.

Döşemealtı Trafiğinde Yeni Dönem: Altınkale Kavşağı Açıldı

