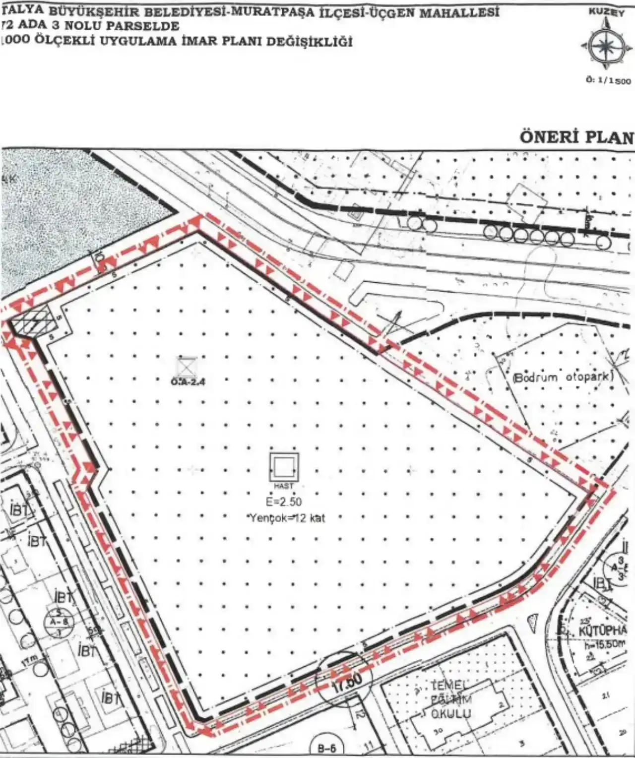
Antalya'nın Muratpaşa ilçesinde 20 Kasım 1968’de hizmete giren Antalya Atatürk Devlet Hastanesi yerine yeni bir tesisin yapılacağı duyurulmuştu. Hastane için Sağlık Bakanlığı ve Cumhurbaşkanlığı Strateji ve Bütçe Başkanlığı yatırım programına alınarak 6 milyar TL'lik bütçe ayrıldığı ve 2026 yılında yıkımına başlanacağı belirtilmişti. Atatürk Devlet Hastanesi'nin 20 Ekim 2025 tarihinde kapatılacağına karar verildi. Yeni hastane için plan değişikliği Muratpaşa Belediyesi Nisan ayı Meclisi’nde ve Antalya Büyükşehir Belediyesi Haziran ayı Meclis Toplantısı’nda onaylanmıştı. ‘Sosyal Sigortalar Kurumu Hastane Alanı’ kullanımlı emsali 1,50 olan Üçgen Mahallesi 6272 ada 3 parselin emsali 2,50’ye çıkarılmış ve 12 kat olarak belirlenmişti. Parselde yapı yaklaşma sınırları içinde kalmak kaydıyla 3 kat bodrum yapılabileceği, bodrum katlarda otopark, arşiv, morg, ameliyathane, laboratuvar, yoğun bakım, sterilizasyon, çamaşırhane, sığınak, mekanik sistemler, mutfak ve mahkum koğuşu gibi sağlık ve teknik hizmet alanları yer alacağı açıklanmıştı. Yapılan planlamada Antalya Atatürk Devlet Hastanesi alanı içerisinde Sağlık İl Müdürlüğü’ne ait idari birimler de yer alacağı kararlaştırılmıştı.
Yarım Asırlık Atatürk Devlet Hastanesi Tarih Oluyor! Esnaf Tepkili


Antalya Atatürk Devlet Hastanesi’nin Plan Detayı Belli Oldu
ACİL SERVİS AÇIK KALACAK, POLİKLİNİKLER KAPATILACAK
Sağlık Bakanlığı Sağlık Yatırımları Genel Müdürlüğü’nün 29 Eylül 2025 tarihli yazısı doğrultusunda alınan komisyon kararlarına göre, hastanede pazartesi gününden itibaren sadece acil vakalar kabul edilecek. Bu tarihten itibaren elektif ameliyatlar ve ayaktan hasta yatışları gerçekleştirilmeyecek.
PERSONEL DİĞER HASTANELERE GÖREVLENDİRİLECEK
Atatürk Devlet Hastanesi'nde görevli olan personellerin çoğunlukla merak edilen sorulardan biri ise görevlendirmelerdi. Edinilen bilgiye göre diğer hastanelere görevlendirilmesinde, hizmetlerin taşındığı alanlar esas alınacak. Yoğun bakım gibi özellikli birimlerde çalışan personel, bu birimlerin taşındığı kurumlara gönderilecek. Personellerin görevlendirme tercihleri ise, hizmet puanları, nöbet tutabilme ve aktif çalışma kriterleri dikkate alınacak. Hekim dışı personelin dağılımı da benzer esaslar çerçevesinde yapılacak.
Bazı cihaz ve donanımlar Aksu Devlet Hastanesi’ne taşınırken, diğerleri ihtiyaç doğrultusunda ildeki diğer sağlık tesislerine tahsis edilecek. Atatürk Devlet Hastanesi’ne ait hizmet ihaleleri de yine ilgili başkanlıklar koordinasyonunda sonlandırılacak. Hastanenin kullandığı bilgi sistemleri (PACS, YBBYS, SHBYS) kapatılmadan önce tüm veriler İl Sağlık Müdürlüğü tarafından teslim alınacak. Arşiv planlaması, Atatürk Devlet Hastanesi idaresince kurulacak komisyon tarafından yapılacak.
HASTANELER SÜRECE DAHİL EDİLDİ
Açıklanan komisyon kararında, Antalya'daki diğer sağlık hizmetlerinde herhangi bir sorun yaşanmaması için hizmetlerin personeliyle birlikte diğer hastanelere kaydırılacağı belirtildi. Antalya Şehir Hastanesi, Kepez Devlet Hastanesi, Döşemealtı Devlet Hastanesi, Antalya Eğitim ve Araştırma Hastanesi ve Aksu Devlet Hastanesi sürece dahil edildi. Ekim ayı itibariyle Atatürk Devlet Hastanesi’nin 25 yataklı yoğun bakım servisinin 12 yatağı kapatılacak. Aynı tarihlerde Antalya Şehir Hastanesi’nde 7 yataklı Nöroloji Yoğun Bakım ve 10 yataklı Koroner Yoğun Bakım ünitesi hizmete açılacak. Ayrıca Atatürk Devlet Hastanesi’ne bağlı diyaliz ve fizik tedavi hizmetlerinin verildiği ek bina, Kepez Devlet Hastanesi’ne devredilecek.
İl Sağlık Müdürü tarafından görevlendirmeler branş bazlı planlandı. Buna göre; Endokrinoloji, Gastroenteroloji, Plastik Cerrahi ve Çocuk Nefroloji hekimleri Kasım ayından itibaren Antalya Eğitim ve Araştırma ile Kepez Devlet Hastanesi’ne yönlendirilecek. Kalp Damar Cerrahisi hekimleri Kepez Devlet Hastanesi’ne, Beyin ve Sinir Cerrahisi uzmanlarından bir hekim Şehir Hastanesi’ne, iki hekim Kepez’e görevlendirilecek. Çocuk Sağlığı ve Hastalıkları servisinin tamamen boşalmasının ardından 22 yataklı servis kapatılacak ve yerine Antalya Şehir Hastanesi’nde 24 yataklı pediatri servisi açılacak.
Göğüs Hastalıkları, Dahiliye, Kadın Doğum, Kardiyoloji, KBB, Nöroloji, Ortopedi, Psikiyatri, Üroloji ve Radyoloji branşlarında görev yapan hekimlerin de Antalya’daki diğer kamu hastanelerine dağıtımı gerçekleştirilecek. Hastanenin kapatılması sürecinde taşınma, demirbaşların ayrıştırılması, tıbbi cihazların devri ve envanter yönetimi süreçleri, Kamu Hastaneleri Başkanlığı ile Destek Hizmetleri Başkanlığı koordinasyonunda yürütülecek.
ESNAF “KADEMELİ YIKIM İSTİYORUZ” DEMİŞTİ
Hastanenin bulunduğu bölgede işletmesi bulunan esnaf, yıkım kararının kendilerini mağdur edeceğini belirtmek için Memurevleri Muhtarlığı'na taleplerini iletmişti. Esnaf, "Atatürk Devlet Hastanesi'nin yıkımı büyük bir mağduriyet oluşturacak. Hastanenin tamamen yıkılmamasını, kademeli olarak yapılmasını istiyoruz. Hastane normalde 350 yataklı fakat yıkım olacağı için şuanda 150 yatak aktif olarak hizmet veriyor. Hastanenin tamamen yıkılmak için kapatılması durumunda mağdur olacağız. Yanımızda çalışan insanlar mağdur olacak. Herkes kredi çekip ev ve araba aldı. Taksitlerini ödemeyecek hale gelecek. Aynı şekilde hastane çalışanı personel mağdur olacak. Hepsinin hayat düzenleri bozulacak. Birçoğu hastaneye yakın konumda oturuyor ve çocukları olan buralardaki okullara gönderiyor. Vali Bey yıkım yapılırken hastanenin yenisinin yapımı için izin vermedi. Bizim istediğimiz bir anda yıkılmaması, kademeli olarak yıkılmasını talep ediyoruz. En azından poliklinikler işler durumda olsun. Yetkililerin sesimizi duymasını istiyoruz" demişti.
