Antalya'nın Muratpaşa ilçesinde 20 Kasım 1968’de hizmete giren Antalya Atatürk Devlet Hastanesi yerine yeni bir tesisin yapılacağı duyurulmuştu. Hastane için Sağlık Bakanlığı ve Cumhurbaşkanlığı Strateji ve Bütçe Başkanlığı yatırım programına alınarak 6 milyar TL'lik bütçe ayrıldığı ve 2026 yılında yıkımına başlanacağı belirtildi.
Antalya Atatürk Devlet Hastanesi'nin Yenilenmesi İçin İlk Adım

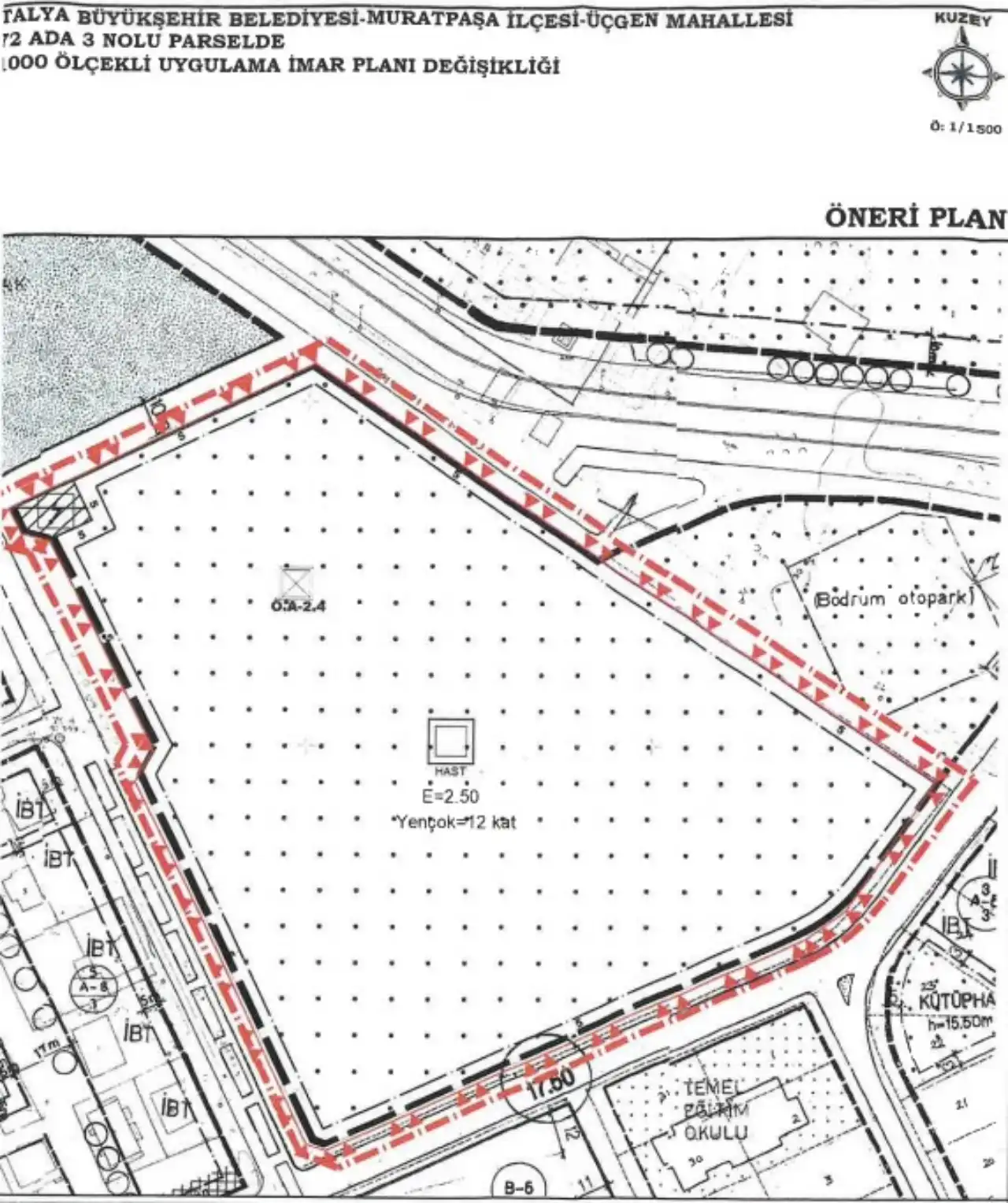
Yeni hastane için plan değişikliği Muratpaşa Belediyesi Nisan ayı Meclisi’nde ve Antalya Büyükşehir Belediyesi Haziran ayı Meclis Toplantısı’nda onaylandı. ‘Sosyal Sigortalar Kurumu Hastane Alanı’ kullanımlı emsali 1,50 olan Üçgen Mahallesi 6272 ada 3 parselin emsali 2,50’ye çıkarılmış ve 12 kat olarak belirlenmişti. Parselde yapı yaklaşma sınırları içinde kalmak kaydıyla 3 kat bodrum yapılabileceği, bodrum katlarda otopark, arşiv, morg, ameliyathane, laboratuvar, yoğun bakım, sterilizasyon, çamaşırhane, sığınak, mekanik sistemler, mutfak ve mahkum koğuşu gibi sağlık ve teknik hizmet alanları yer alacağı açıklanmıştı.
Antalya Atatürk Devlet Hastanesi’nin Plan Detayı Belli Oldu

Yapılan planlamada Antalya Atatürk Devlet Hastanesi alanı içerisinde Sağlık İl Müdürlüğü’ne ait idari birimler de yer alacak.
ESNAF TALEPLERİNİ MUHTARA İLETTİ
Hastanenin bulunduğu bölgede işletmesi bulunan esnaf, yıkım kararının kendilerini mağdur edeceğini belirtmek için Memurevleri Muhtarlığı'na taleplerini iletti. Esnaf, “Atatürk Devlet Hastanesi'nin yıkımı büyük bir mağduriyet oluşturacak. Hastanenin tamamen yıkılmamasını, kademeli olarak yapılmasını istiyoruz. Hastane normalde 350 yataklı fakat yıkım olacağı için şuanda 150 yatak aktif olarak hizmet veriyor. Hastanenin tamamen yıkılmak için kapatılması durumunda mağdur olacağız” dedi.
“BÖLGE HALKI MAĞDUR OLACAK”
Bölgede yaşayan vatandaşın da yıkımda mağdur olacağını belirten esnaf, “Hastane yıkılırsa vatandaşın gidebileceği en yakın hastane Eğitim ve Araştırma Hastanesi olacak. Oranın kapasitesi de belli, şu an bile yoğun ve personel yetişemiyor. Burası yıkılıp hastalar oraya giderse o yükü kaldıramaz. Antalya Şehir Hastanesi yapıldı. Fakat şehrin en uzak bölgesinde hastalar oraya nasıl gidebilir? Gitse bile hastanenin büyüklüğünden dolayı işlem yapmakta zorluk çekebilirler. Antalya Atatürk Devlet Hastanesi merkezi konumda, ulaşım kolay. Tramvay ve otobüsle ulaşım sağlanabiliyor” diye konuştu.

“EKONOMİK SIKINTI ÇEKECEĞİZ”
Yıkım gerçekleşirse ekonomik olarak sıkıntı çekeceklerini söyleyen esnaf, “Yanımızda çalışan insanlar mağdur olacak. Herkes kredi çekip ev ve araba aldı. Taksitlerini ödemeyecek hale gelecek. Aynı şekilde hastane çalışanı personel mağdur olacak. Hepsinin hayat düzenleri bozulacak. Birçoğu hastaneye yakın konumda oturuyor ve çocukları olan buralardaki okullara gönderiyor” şeklinde konuştu.
“KADEMELİ YIKIM TALEP EDİYORUZ”
Esnaf, “Vali Bey yıkım yapılırken hastanenin yenisinin yapımı için izin vermedi. Hastanede görev yapan doktorlar ve hastanenin teçhizatları Aksu'ya gönderilecek. Çalışan personel Aksu’ya nasıl gidebilir? Bu karar hem siyasi yönden etkileyecek. Partiler oy kaybı bile yaşayabilir. Bizim istediğimiz bir anda yıkılmaması, kademeli olarak yıkılmasını talep ediyoruz. En azından poliklinikler işler durumda olsun. Yetkililerin sesimizi duymasını istiyoruz” diyerek sözlerini tamamladı.
Memurevleri Muhtarı Muhammet Bıcıoğlu da gelen talepleri alarak, ilgililerine ileteceğini kaydetti.