Antalya
Adana
Adıyaman
Afyonkarahisar
Ağrı
Amasya
Ankara
Antalya
Artvin
Aydın
Balıkesir
Bilecik
Bingöl
Bitlis
Bolu
Burdur
Bursa
Çanakkale
Çankırı
Çorum
Denizli
Diyarbakır
Edirne
Elazığ
Erzincan
Erzurum
Eskişehir
Gaziantep
Giresun
Gümüşhane
Hakkari
Hatay
Isparta
Mersin
İstanbul
İzmir
Kars
Kastamonu
Kayseri
Kırklareli
Kırşehir
Kocaeli
Konya
Kütahya
Malatya
Manisa
Kahramanmaraş
Mardin
Muğla
Muş
Nevşehir
Niğde
Ordu
Rize
Sakarya
Samsun
Siirt
Sinop
Sivas
Tekirdağ
Tokat
Trabzon
Tunceli
Şanlıurfa
Uşak
Van
Yozgat
Zonguldak
Aksaray
Bayburt
Karaman
Kırıkkale
Batman
Şırnak
Bartın
Ardahan
Iğdır
Yalova
Karabük
Kilis
Osmaniye
Düzce
19°
Akdeniz Gerçek | Galeriler | Manavgat | Manavgat’ta Antalya Büyükşehir Mezarlık Alanı Dahil 3 Koruma Kararı

Manavgat’ta Antalya Büyükşehir Mezarlık Alanı Dahil 3 Koruma Kararı

Antalya Kültür Varlıklarını Koruma Bölge Kurulu, Manavgat’ta biri Antalya Büyükşehir Belediyesi’ne ait mezarlık olmak üzere üç alan hakkında yeni kararlar aldı.

Antalya Kültür Varlıklarını Koruma Bölge Kurulu, Manavgat’ta biri Antalya Büyükşehir Belediyesi’ne ait mezarlık olmak üzere üç alan hakkında yeni kararlar aldı.

KAYNAK: Banu Yapar
Manavgat’ta Antalya Büyükşehir Mezarlık Alanı Dahil 3 Koruma Kararı
Manavgat’ta Antalya Büyükşehir Mezarlık Alanı Dahil 3 Koruma Kararı 1
Antalya'nın Manavgat ilçesinde üç farklı alan için sit kararı alındı. Antalya Kültür Varlıklarını Koruma Bölge Kurulu, Yeşilbağ Mahallesi’nde Antalya Büyükşehir Belediyesi mülkiyetindeki mezarlık alan ile Dolbazlar ve Çolaklı mahallelerinde seramik buluntularının yer aldığı iki bölgeyi tescilledi. Kararlar Resmi Gazete'nin 4 Ocak 2026 tarihli sayısında yayımlandı.
1 / 10
Manavgat’ta Antalya Büyükşehir Mezarlık Alanı Dahil 3 Koruma Kararı 2
Yeşilbağ'da Antalya Büyükşehir Mezarlık Alanı Koruma AltındaManavgat’ın Yeşilbağ Mahallesi’nde, Antalya Büyükşehir Belediyesi mülkiyetindeki 109 ada 438 parselde yer alan mezarlık alanının kültürel değer taşıdığına hükmedildi.
2 / 10
Manavgat’ta Antalya Büyükşehir Mezarlık Alanı Dahil 3 Koruma Kararı 3
Kurul'un, 8 Eylül 2025 tarihli kararına göre mezarlık alanı 'Korunması Gerekli Taşınmaz Kültür Varlığı' olarak tescillendi.
3 / 10
Manavgat’ta Antalya Büyükşehir Mezarlık Alanı Dahil 3 Koruma Kararı 4
4 / 10
Manavgat’ta Antalya Büyükşehir Mezarlık Alanı Dahil 3 Koruma Kararı 5
Dolbazlar’da Seramik Buluntularına Sit KararıManavgat'ın Dolbazlar Mahallesi’nde 103 ada 127 parsel ve çevresinde tespit edilen seramik buluntularının yer aldığı alan Kurul tarafından değerlendirildi.
5 / 10
Manavgat’ta Antalya Büyükşehir Mezarlık Alanı Dahil 3 Koruma Kararı 6
27 Kasım 2025 tarihli kararla söz konusu alan '3. Derece Arkeolojik Sit Alanı' tescili aldı.
6 / 10
Manavgat’ta Antalya Büyükşehir Mezarlık Alanı Dahil 3 Koruma Kararı 7
7 / 10
Manavgat’ta Antalya Büyükşehir Mezarlık Alanı Dahil 3 Koruma Kararı 8
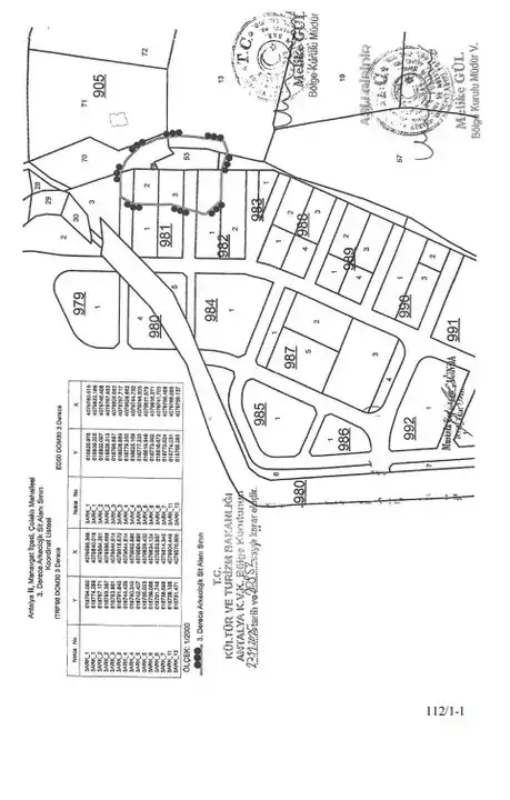
Çolaklı’da Yeni Sit AlanıAynı gün alınan ikinci kararda ise Manavgat'ın bu kez Çolaklı Mahallesi’nde 981 ada 3 parsel ve çevresindeki seramik buluntularının yer aldığı alan "3. Derece Arkeolojik Sit Alanı' olarak tescillendi.
8 / 10
Manavgat’ta Antalya Büyükşehir Mezarlık Alanı Dahil 3 Koruma Kararı 9
Sit sınırları 1/2000 ölçekli haritada gösterildi.
9 / 10
Manavgat’ta Antalya Büyükşehir Mezarlık Alanı Dahil 3 Koruma Kararı 10
10 / 10
Yorumlar
Yorum yazma kurallarını okumuş ve kabul etmiş sayılırsınız