Antalya'nın Muratpaşa ilçesi sınırlarında bulunan, Değirmenönü'ndeki Muratpaşa Belediyesi mülkiyetindeki tarihi yapılar için Antalya Kültür Varlıklarını Koruma Bölge Kurulu kararını verdi.

Antalya Kültür ve Tabiat Varlıklarını Koruma Kurulu'nun, 19 Aralık 2024 tarihli toplantısında Muratpaşa ilçesindeki tescilli yapılar ve koruma alanlarıyla ilgili yeni düzenlemeleri Resmi Gazete'nin 26 Ocak 2025 tarihli sayısında yer aldı.

Koruma Kapsamı Genişletildi
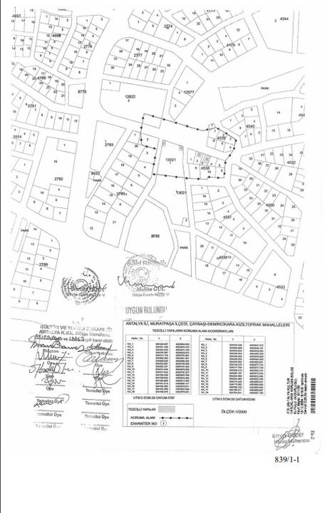
Muratpaşa İlçesi'nde, Kızıltoprak ve Demircikara mahallelerinde bulunan ve Değirmenönü olarak bilinen tescilli yapılar için yeni koruma alanı sınırları belirlendi. Antalya Kültür ve Tabiat Varlıklarını Koruma Kurulu, daha önce 29 Nisan 1998 tarih ve 3792 sayılı kararla tescil edilen alanın kapsamını genişletti.
Bu karar kapsamında; Kızıltoprak Mahallesi'nde, Muratpaşa Belediyesi mülkiyetindeki 4538 ada 2 parsel ile kısmen özel mülkiyete ait 4538 ada 3 ve 4 parsellerdeki yapılar tescillendi. Demircikara Mahallesi'nde, Muratpaşa Belediyesi'ne ait 13021 ada 1 parseldeki iki adet tescilli yapı, koruma altına alındı.

Kurul İzni Olmadan Çivi Bile Çakılamayacak
Alınan karar çerçevesinde, tescilli yapıların yer aldığı alanların sınırlarını belirleyen 1/2000 ölçekli harita ve güncel tescil fişleri onaylandı. Bu alanlarda yapılacak her türlü inşai ve fiziki uygulama için, 2863 sayılı Kanun gereğince kurul izni zorunlu hale getirildi. Ayrıca koruma altına alınan taşınmazların tapu kayıtlarına, ilgili kadastro müdürlükleri aracılığıyla "koruma alanında tamamen ya da kısmen kaldığı" şerhinin işlenmesi gerektiği belirtildi. Can ve mal güvenliğini sağlamak amacıyla, gerekli güvenlik önlemlerinin ilgili kurumlar tarafından alınmasına karar verildi.

