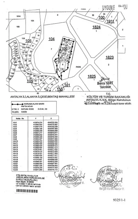
Antalya'nın Alanya sınırları içinde bulunan Bektaş Mezarlığı, 2009 yılında 'kültür varlığı' olarak tescillenmişti. Kültür ve Turizm Bakanlığı'na bağlı Antalya Kültür Varlıklarını Koruma Bölge Kurulu, özel mülkiyetteki Bektaş Mezarlığı koruma alanı sınırının, yapılacak her türlü uygulamalardan hassas ve doğru olarak korunması amacıyla belirlenmesine karar verdi.

Mezarlıkta kültür varlığı niteliği taşıyan bir fiziki uygulamanın bulunmadığının tespit edildiği belirtilen kararda 1/2000 ölçekli haritanın uygun bulunduğu kayda geçti. Karar, Resmi Gazete'nin 4 Eylül 2025 tarihli sayısında yayımlandı.

Kültür Varlığı Olan Mezarlık İçin Önlemler Alınacak
Yürülüğe giren karara göre; Bektaş Mezarlığı koruma alanında tespit edilen ve taşınmaz kültür varlığı kapsamında kalan kadastral taşınmazlar, koruma alanı sınırına ait koordinatlar işlenmek üzere ilgili Kadastro Müdürlüğü'nce Kurul Müdürlüğü'ne gönderilecek. Bu taşınmazlar, tapu kütüğünün beyanlar hanesine şerh edilecek ve korunacak alan sınırı tapu kütüğüne işlenecek. Kültür varlığı olan mezarlığın koruma alanı içerisinde inşaat, fiziki ve kimyasal müdahale yapılamayacak. Alanın güvenliği sağlanacak.

Bektaş Mezarlığı'na Yeni Defin Yapılabilecek
Mezarlık koruma alanında, eski mezar ve taşlarına zarar verilmemesi koşuluyla yeni defin işlemleri yapılabilecek. Kararda, "Geçmişimize ait saygı ve bağlılığın ifadesi olan kültür varlığı olarak tescilli mezarlıklarda yer alan ağaçlar ve peyzajla ilgili düzenlemelerin Kurulda değerlendirilmesi gerektiği belirtildiğinden, koruma alanı içerisinde yapılacak bu tür düzenlemelerin ve mezar taşlarının belgelenmesine ilişkin çalışmaların değerlendirilmek üzere Kurulumuza iletilmesine karar verildi" denildi.


Bektaş Mezarlığı
Bektaş Mezarlığı, Antalya'nın Alanya ilçesi Bektaş Mahallesi'nde bulunuyor. Bektaş'ta Osmanlı döneminden kalan çok sayıda mezar bulunuyor.
